
Ett seniorboende

Fastigheten benämns "Höghuset
i Kolbäck"

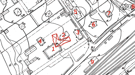
Bilden visar fastigheten Åbrinkens
placering på en karta från 1943.
| 1. Mejeriet |
2. Mejeristbostaden |
3. Speceriaffären |
| 4. Ostlagret |
5. Järnhandeln |
6. Järnvägsbostad |
| 7. Posten |
8. Kiosken |
9. Godsmagasinet |

Mejeriet, Mejeristbostaden och Speceriaffären
Karta från 2003

Den första juni 1990 startade byggnationen
Foto: Rune Larsson
Sammanställning: 2004-02-17